MARUM_KQ_01.jpg Gelbe Baumkorallen im MittelmeerThumbnailsBartwürmer im östlichen Mittelmeer
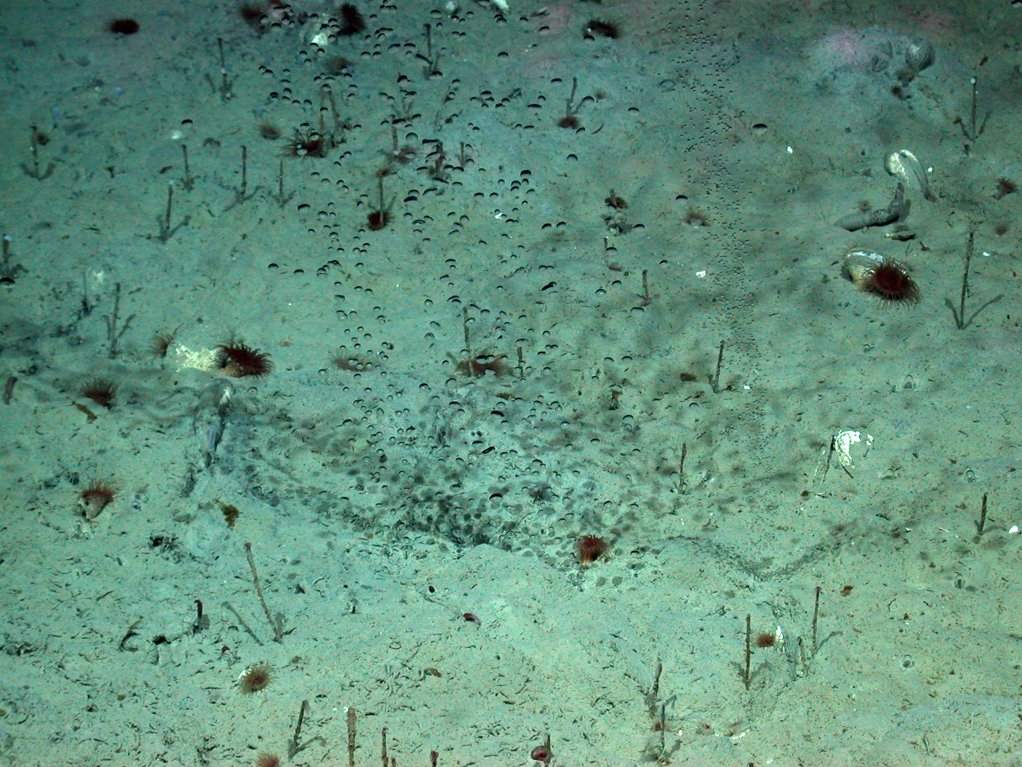
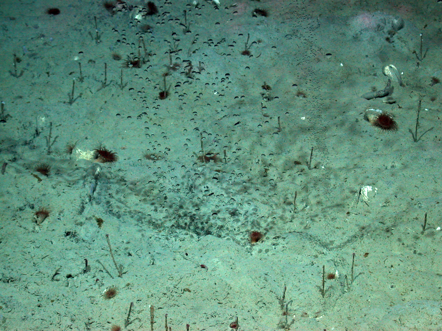
Expedition M74/3: Gasaustritt in 2.860 Meter Wassertiefe im Arabischen Meer,
aufgenommen mit dem Tauchroboter MARUM-QUEST
usage Freigabe unter CC-BY 4.0, unter Angabe des Copyright-Vermerk
author MARUM, Universität Bremen
Copyright MARUM − Zentrum für Marine Umweltwissenschaften, Universität Bremen (CC-BY 4.0)
Dimensions 2048*1536
File MARUM_KQ_01.jpg
File size 3524 KB
Keywords Arabisches Meer, CC-Lizenz, Fauna / Besiedlung, Gasaustritt, Indischer Ozean, Kalte Quelle, Methan, Organismus, Ozeanboden, Röhrenwurm, Seeanemone, Tiefsee
Albums Fotos unter CC-Lizenz